Negozio / locale commerciale di 506 m² in Genova (16159)
A proposito di questo negozio/locale commerciale a Genova (16159)
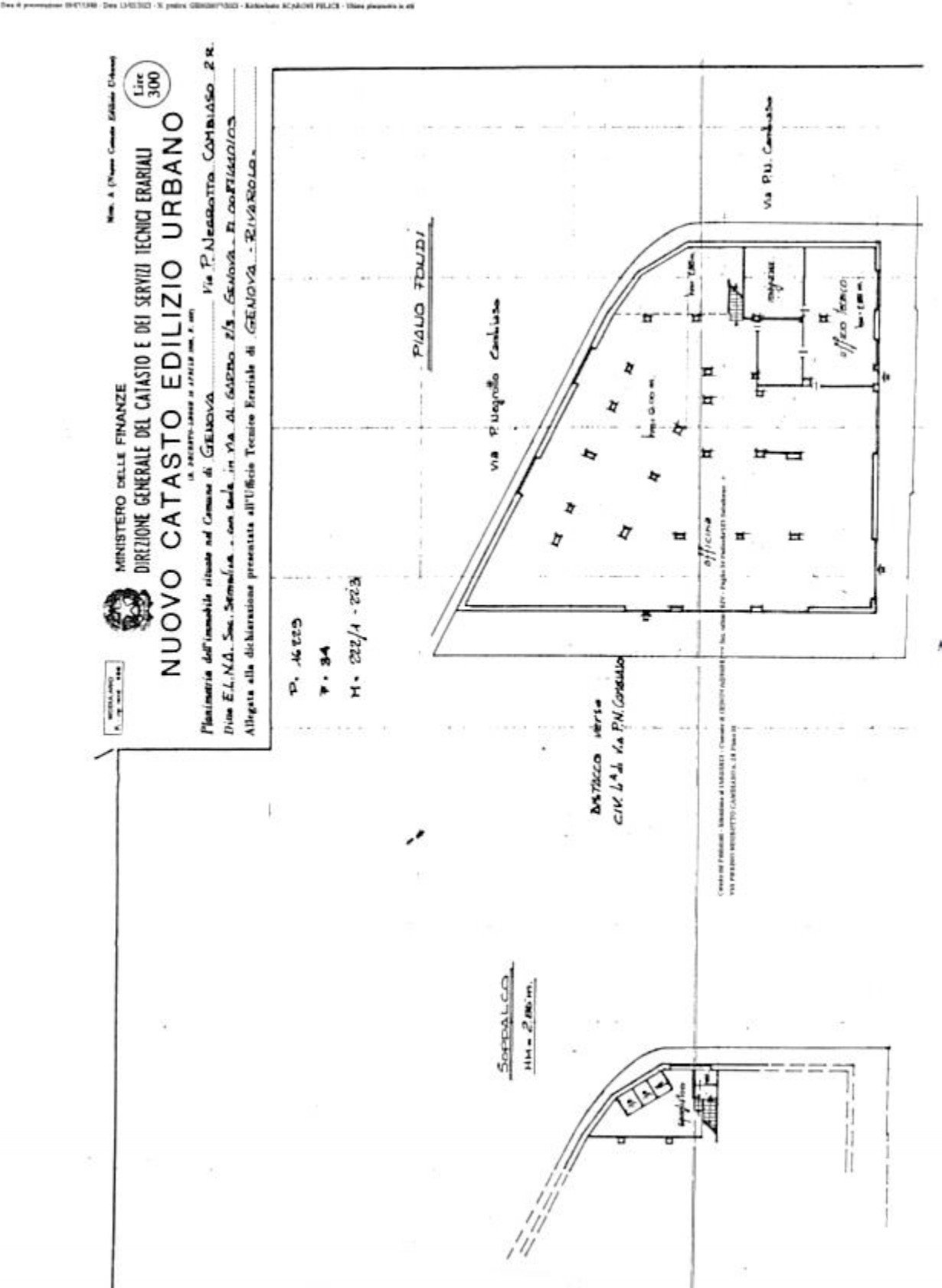
Team Sander propone in vendita ampio locale al piano terra di uno stabile, con una superficie interna di circa 500 metri quadrati e soffitti alti oltre sei metri.
L’immobile è adatto a numerose destinazioni d’uso, per esempio palestra, rimessaggio auto, deposito o frazionamento in più box/unità indipendenti.
È dotato di quattro serrande carrabili e di una porta d’ingresso pedonale, che garantiscono accessi comodi e funzionali. Gli spazi interni possono essere organizzati e suddivisi in base alle proprie esigenze.
All’esterno è presente un piazzale privato di circa 250 metri quadrati, accessibile tramite cancello elettrico, utilizzabile come area di manovra, parcheggio o spazio operativo. In caso di frazionamento, questa zona esterna permette di ricavare posti auto, aumentando la fruibilità e il valore dell’immobile.
La proprietà rappresenta un’ottima opportunità per chi cerca un locale ampio, con soffitti alti e spazi versatili, dal grande potenziale di trasformazione.
Pertinenze
Esterno
Altro
Questo negozio/locale commerciale si trova a Genova (16159).

















