

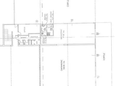
ROVERETO ZONA INDUSTRIALE vendiamo in zona industriale a Rovereto capannone di circa 350 mq con relativo piazzale ad uso esclusivo di ulteriori 300 mq. L'immobile è composto da ampio magazzino con ufficio e servizi igienici. Rif. CT302
Riferimento: 157876
Immobili simili




Altri tipi di immobili a Rovereto
Altri progetti a Rovereto