Costruzione di 730 m² in Toscolano-Maderno (25088)
Caratteristiche
Su questo edificio a Toscolano-Maderno (25088)
TOSCOLANO MADERNO – A soli 500 metri dal lago proponiamo in vendita palazzina d’epoca di grande fascino, composta da sei unità abitative e con ampie potenzialità di valorizzazione.
L’immobile, risalente ai primi del ‘700 e successivamente ampliato e ristrutturato, si presenta con tetto in ottime condizioni, serramenti sostituiti circa 15 anni fa (in 5 appartamenti su 6) e circa 3.000 mq di terreno di pertinenza, oltre a 7 box auto.
Nota: sono state inserite immagini renderizzate per offrire una visione del possibile risultato futuro dopo ristrutturazione.
Struttura attuale e visione progettuale
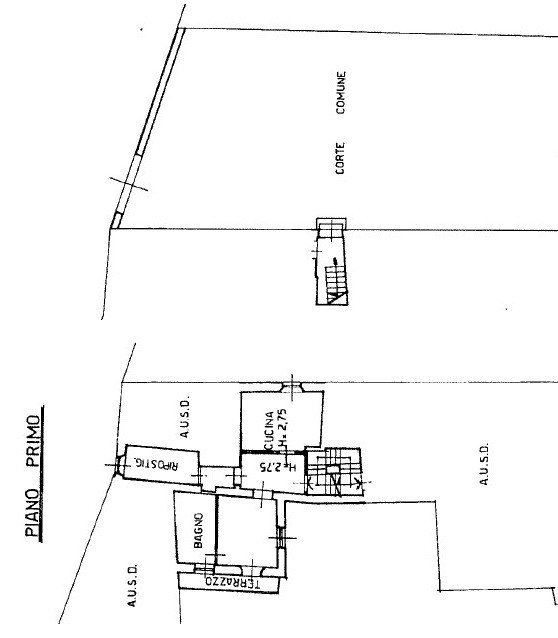
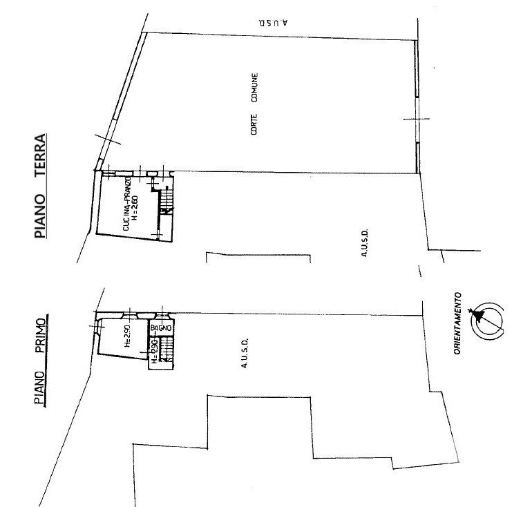
•Piano Terra – Bilocale di prestigio: 118 mq + portico 22 mq, grande taverna con possibile vetrata di 55 mq, cantina, giardino esclusivo di 900 mq, box e posto auto. (180 mq comm.li)
•Piano Terra – Bilocale ampio: 71 mq con giardino privato di 90 mq, cantina, box e posto auto. (96 mq comm.li)
•Piano Terra – Bilocale su due livelli: 61 mq con eventuale giardino privato di 60 mq, cantina, box e posto auto. (85 mq comm.li)
•Piano Primo – Bilocale con studiolo: 70 mq + terrazzo 6 mq, cantina, box e posto auto. (92 mq comm.li)
•Piano Primo alto – Trilocale: 93 mq con solaio, cantina, box e posto auto. (110 mq comm.li)
•Piano Primo alto – Grande Trilocale (o Pentalocale): 134 mq + terrazza vista lago 25 mq, solaio abitabile 90 mq, cantina, box e posto auto. (246 mq comm.li)
•Box auto aggiuntivo di 16 mq.
•Possibile piscina comune in ampio giardino condominiale.
Plus della proprietà
•Ampie aree verdi con possibilità di ulteriori sviluppi.
•Posizione privilegiata: a soli 500 m dal fronte lago, con comodità a servizi e collegamenti.
Potenzialità di valorizzazione
•Residenza di pregio frazionata in più unità indipendenti.
•Investimento a reddito turistico con formula residence/B&B.
•Progetto di sviluppo immobiliare con ampliamento dei servizi comuni.
Un’occasione rara per chi cerca un immobile storico già parzialmente rinnovato, con spazi, verde e una posizione esclusiva che oggi è sempre più difficile trovare sul lago di Garda.
Opportunità unica per operatori immobiliari e investitori.
Le informazioni qui riportate sono corrette ma non costituiscono presupposto contrattuale.
Toscolano Maderno a soli mt. 500 dal fronte lago, vendesi palazzina composta di sei appartamenti di più tipologie e dimensioni e sette box auto di pertinenza e circa mq 3.000 di terreno.
L’immobile è dei primi ‘700, negli anni ha subito alcuni ampliamenti e ristrutturazioni, con tetto in ottime condizioni e serramenti di 5 appartamenti cambiati circa 15 anni fa.
Visione di fattibilità :
Piano terra un Bilocale grande mq 118, portico di mq 22, grande taverna con possibile vetrata di mq 55, cantina, giardino esclusivo di mq 900, un box auto, un posto auto e verde comune. (mq 180 commerciali)
Piano terra un bilocale grande mq 71, giardino privato di mq 90, cantina, un box auto, un posto auto e verde comune. (mq 96 commerciali)
Un trilocale grande mq 93, cantina, un box auto, un posto auto e verde comune. (mq 110 commerciali)
Piano secondo un trilocale grande ( o pentalocale) mq 134, terrazza di mq 25, solaio reso abitabile di mq 90, cantina, un box auto, un posto auto e verde comune. (mq 246 commerciali)
Piano primo un bilocale con studiolo, mq 70 terrazzo di mq 6, un box auto, un posto auto e verde comune. (mq 92 commerciali)
Piano terra un bilocale su due livelli mq 61, eventuale giardino privato mq 60, cantina, un box auto, un posto auto e verde comune. (mq 85 commerciali)
Un box auto mq 16
Piscina comune nel giardino comune
Pertinenze
Interno
Esterno
Altro
Classificazione energetica
Efficienza Energetica:
Questo edificio si trova a Toscolano-Maderno (25088).

