Terreno di 550 m² in Loreto (60025)
Su questo terreno a Loreto (60025)
"IMMAGINARE IL FUTURO"
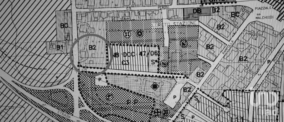
Nel cuore verde di Loreto Stazione, a due passi da ogni tipo di servizio (circa 50 in appena 400m, tutti raggiungibili a piedi!), in piena "Vista Basilica" e in una zona comoda, pianeggiante, residenziale e tranquilla... oggi puoi cogliere l'occasione di acquistare questo meraviglioso LOTTO EDIFICABILE (una porzione di circa 550mq, come nel caso di questo annuncio, o tutto il lotto di oltre 2.000mq) potendo già "vedere" la potenzialità che questo esprime grazie ai progetti realizzabili che vedi nelle foto!
La superficie totale del Terreno è di oltre 2.200mq e l'Indice di Edificabilità di cui gode è di 1.5mc/mq, che permette di costruire fino a 1.100mq di edificio (o di edifici) in totale. Nei 550mq di porzione descritta nell'annuncio, si possono quindi realizzare fino a 275mq di costruzione come viene descritto nelle immagini in 3D del progetto che prevede un possibile complesso quadri-familiare composto da 4 villette indipendenti (composte da ampia zona giorno con bagno, lavanderia e 2 camere al Piano Terra e una terza camera con bagno al Primo Piano, con garage e giardino esclusivo)... proprio come nelle immagini del progetto che identifica una casa in Legno in CLASSE "A" del costo indicativo di circa €270.000,00 - comprese fondazioni, lavori esterni ed allacci finali.
Insomma... c'è davvero spazio per poter dare libero sfogo alla fantasia, valutando ogni tipo di soluzione realizzabile (compresa quella descritta) in quest'area residenziale in forte espansione!
CHIAMACI SUBITO PER CHIEDERE TUTTE LE INFO...!!!
Pertinenze
Esterno
Questo terreno si trova a Loreto (60025).








