New
Shop / premises commercial of 900 m² in Pesaro (61122)
€280,000
€311/m²
900 m²
2 rooms
Features
Garden
About this shop/premises commercial at Pesaro (61122)
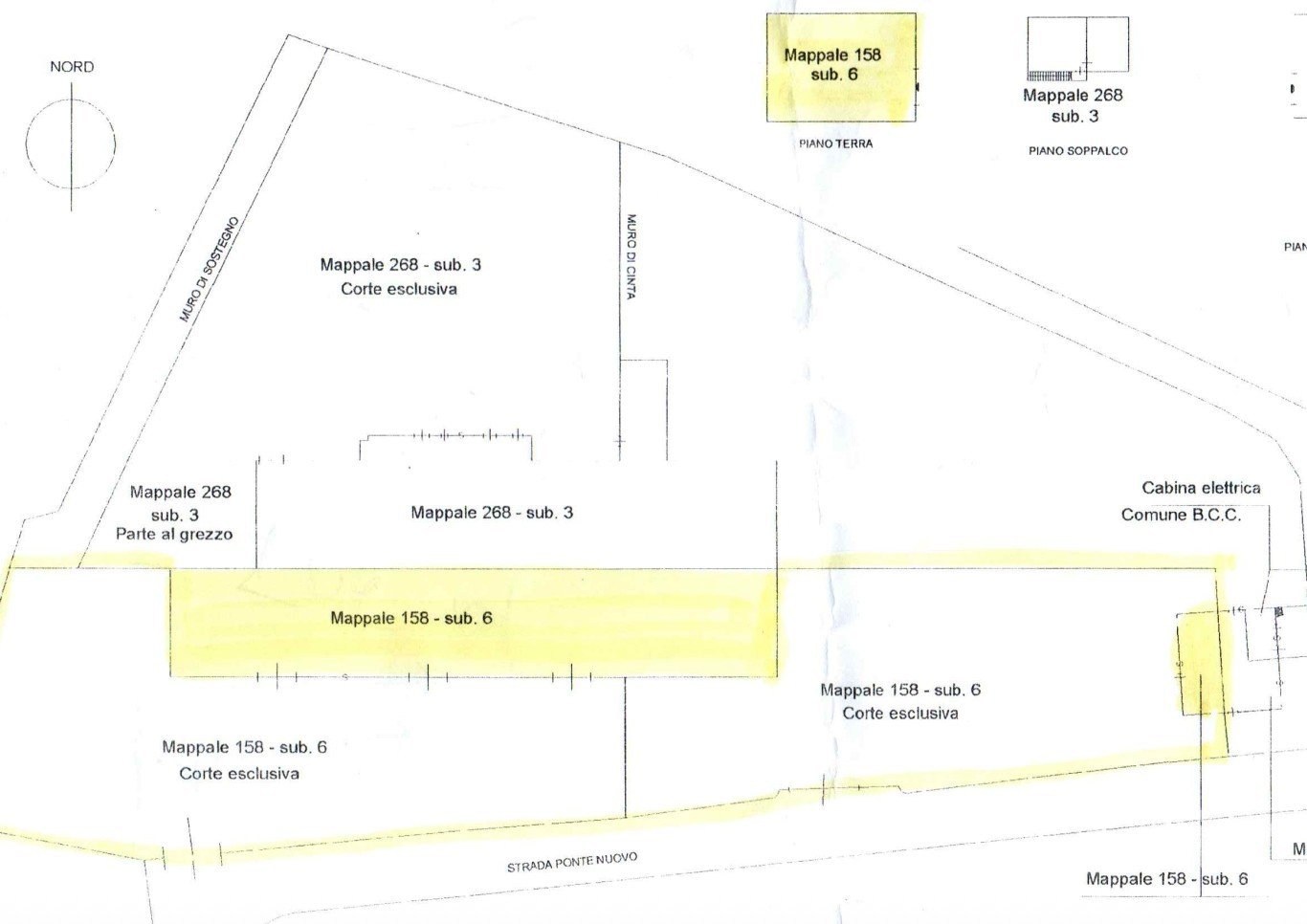
PESARO - All'inizio delle Siligate, in una delle arterie principali che collega Marche e Romagna, comodo, ed facilmente accessibile, Proponiamo capannone di mq 900 su due livelli rispettivamente di mq 250 e 750, entrambi su piano strada con uno scoperto ad uso esclusivo di oltre 2000 mq.
L'immobile è molto luminoso, il tetto già bonificato, necessiterà di un adeguamento degli impianti.
gli oltre 2000 mq di scoperto esclusivo rendono la soluzione ideale per grandi manovre di carico/scarico e logistica.
Reference: 147786
Equipments
Outdoor
Land surface: 2,000 m²
Garage
Other
Year of construction: 1970
Where is the property located?
This shop/premises commercial is located at Pesaro (61122).
Similar properties
Popover 1
Popover 2
Popover 3
Popover 4





